症状から考えられる病気
ふらつく ふるえる 足をひきずる
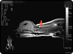
脳や脊髄などのMRI検査でわかる神経疾患
- 脳腫瘍
- 造影剤で腫瘍が白く強調されています。
-
→
造影剤投与前
造影剤投与後
- 脊髄空洞症
- 脊髄内に空洞が生じた状態で、空洞内には脳脊髄液と同様の液体が満たされています。
疼痛がでたりふらつきや不全麻痺など症状は様々です。 -
→
頸部の脊髄です。水っぽいところが白く映っています。
水っぽいところは黒く映っています。
- 椎間板ヘルニア
- 腹側からの脊髄への圧迫がみられます。
ミニチュアダックスは好発犬種です。背中をいたがる・後ろ足をひきずるなどの症状がみられます。 
- 壊死性髄膜脳炎
- 以前はパグに多く認められる病気だったため、パグ脳炎と呼ばれていました。パグ以外にも発病が確認されている脳が進行性に壊死してしまう病気で発作やふらつきなどの様々な神経症状がみられます。脳脊髄液検査ではアストロサイトという神経細胞に対する抗体が認められるため、免疫異常による病気と考えられています。MRI検査所見・脳脊髄液検査の結果から診断・治療を行います。
-
T2強調(炎症や水っぽいところは白く見えます)
T1強調(水っぽいところは黒からグレーにみえます)
脱臼・関節炎・骨折・骨肉腫など関節液検査やX線検査でわかる骨や関節疾患
- 股関節脱臼
- 事故や先天的な股関節形成不全に付随して脱臼することがあります。
脱臼した側の後ろ足を拳上させ、3本足で歩くようになります。 
- 骨折
- 高いところから飛び降りたりすることで骨折することがあります。骨折した足はぶらーんとして床に足を付けられない状態になります。

創外固定法による治療 
プレートを用いた治療
- 膝蓋骨脱臼
- 股関節脱臼・関節炎
- 多発性関節炎
- 骨肉腫
心嚢水貯留や血栓塞栓症などの循環器疾患や腹腔内腫瘍破裂など貧血によるふらつき
- 脾臓破裂
- 心嚢水
顔や体を痒がる 被毛が少ない
痒みのある場合、アレルギー性皮膚炎やノミや疥癬など外部寄生虫疾患やマラセチア性外耳炎・皮膚炎が多いです。
アレルギー性皮膚炎 最も多いとされているのはハウスダストアレルギーです。
顔・背中・肛門回りに症状が出る場合は食物アレルギーのことが多いといわれています。
犬は血液をとってIgEやリンパ球反応検査をすることで調べることができます。
犬でハウスダストアレルギーの場合は減感作治療があります。
痒みのない脱毛には甲状腺機能低下症や成長ホルモン性脱毛などホルモンの病気があります。
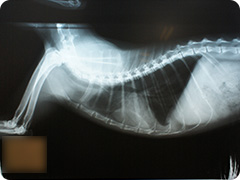
呼吸が早い 咳 くしゃみ
呼吸がはやい 咳
心臓病や胸腔内にできた腫瘍によって胸水がたまって呼吸が早くなることがあります。
肺に異常があるような肺炎・気管支炎や心不全による肺水腫によって咳が出たり呼吸が早くなったりします。
- 胸水
- 心不全や腫瘍などが原因で胸水がたまると、肺が充分膨らまないために十分な酸素が取り入れにくくなります。そのため呼吸回数を増やして補おうとします。
-
胸水
胸腔内にたまっている水はX線写真では白く見えます。この胸水に含まれている細胞を検査して診断していきます。この胸水には腫瘍細胞が認められました。
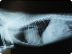
リンパ腫
腫瘍の形がみえます(胸腺型リンパ腫)。
リンパ腫治療後
化学療法により腫瘍は小さくなります。
- 肺水腫
- 犬では僧房弁閉鎖不全などの心不全から肺水腫を起こし、呼吸が早くなったり咳が出たりします。
-
肺水腫
胸腔内が白っぽく見えます。心臓の超音波検査を行い診断します。
超音波検査
左心房と左心室の間にある僧房弁が閉じないので血液の逆流が見られ、超音波検査ではモザイク状に見えます。
肺水腫治療後
心不全の治療により肺水腫は改善し、胸腔内は黒っぽく見えるようになりました。 -
超音波検査
左心房から左心室に入る血液の流速を測定したり、心臓の壁の厚さや形などを評価します。
- 肺癌
- 肺に腫瘍ができたときも咳が認められることがあります。
-
肺癌
白く丸くみえるのが腫瘍です。
肺癌切除後
腫瘍切除し病理検査の結果肺癌と診断されました。
- 気管支炎
- 気管支炎の原因を突き止めるのは難しいことがあります。
-
→
気管支炎
気管支炎治療後
くしゃみ
子猫ではウイルス感染による鼻炎が多くみられます。
くしゃみや鼻出血などは鼻腔内腫瘍の可能性もあります。
- 鼻腔内腫瘍
-
造影剤投与前
鼻腔内左側を占拠する病変。
右側にあるような正常な鼻甲介構造がなくなっています。
造影剤投与後
造影剤により強調されています。
組織生検による病理検査:鼻腔内神経芽腫疑い
吐く 便がゆるい
吐く・便がゆるいという症状は様々な病気でみられます。
血液検査やX線検査・超音波検査など様々な検査から総合的に診断が必要になることがあります。
腎不全や肝不全などの内臓の病気から吐き気がでたり、異物誤食や消化管腫瘍などによる食べ物の通過障害や胃炎・腸炎・膵炎などの炎症によっても症状がでます。消化管内寄生虫なども原因となります。
肝・胆道系の病気
- 胆嚢粘液腫
-
無菌性または細菌性の炎症が胆嚢に生じること、または胆嚢の運動性が障害されること、あるいはその両方が生じることにより胆嚢内の液体が固くなってしまうことで形成しやすくなると考えられています。
胆汁排泄ができなくなって黄疸がみられたり、胆嚢破裂してしまうことがあります。 また、膵炎・副腎皮質機能亢進症・糖尿病・甲状腺機能低下症などによる脂質代謝異常との間にも関連性があるとも考えられています。
嘔吐や腹痛などの症状がある場合や全く症状がなく偶然検査でわかることもあります。超音波検査や肝・胆道系に関わる血液生化学検査や炎症反応をみることで総合的に診断します。
当院では胆嚢炎・甲状腺機能低下症・膵炎等に併発した胆嚢粘液腫が確認されています。内科治療に反応しない場合は胆嚢切除が必要になります。 -
胆泥貯留
正常なさらさらした胆汁は超音波検査では黒く見えます。粘稠度が増すと白っぽく見えてきます。
胆嚢粘液腫
胆嚢内外側が黒く中心部が白くなり、典型的にはキウイフルーツの断面のように見えてきます。
切除した胆嚢
病理組織学的検査で胆嚢粘液腫と診断されました。
腫瘍(消化管リンパ腫)
これら以外に子宮蓄膿症や糖尿病によるケトアシドーシスなどからも嘔吐が見られることもあります。
おしっこが多い ・少ない ・でない
お水をよく飲んだりおしっこが増える病気には糖尿病・腎不全・クッシング病・甲状腺機能亢進症などが多くみられます。
尿量が少ない時は膀胱炎が原因で頻尿になっていて残尿感によることもあります。
また、尿路結石により排尿困難になっていることもあります。まったくでない場合は緊急に導尿処置が必要です。
膀胱結石・尿道結石
膀胱内にできた結石は膀胱を刺激したり粘膜を傷つけ、頻尿や血尿の原因になります。
尿道内に存在する結石はカテーテルで膀胱内に戻してから膀胱切開により摘出します。
元気や食欲がない
免疫異常・内臓疾患・腫瘍など様々な病気があります。
多発性関節炎 免疫介在性血小板減少 白血球減少 溶血性貧血 アジソン病

